【进行中】天津市在线赌场 交通运输管理局关于公开征求在线赌场 通航水域范围意见的公告
公告
天津市在线赌场 交通运输管理局关于公开征求津南区通航水域范围意见的公告
为进一步规范在线赌场 内河通航水域管理,保障我区内河水上交通安全,依据《中华人民共和国内河交通安全管理条例》《天津市内河通航水域安全管理办法》,现向社会各界公开征求划定市津南区通航水域意见。
本次拟划定通航水域包含在线赌场 海河航道内部水域、码头(客运船舶停靠点)前沿及其连接水域(示意图),相关具体参数按照已公布的航道维护尺度和码头(客运船舶停靠点)的设计图纸数据为准。
一、意见征求时间
2025年4月28日至5月7日
二、意见提交方式
(一)电子邮件:请发送至电子邮箱jnqygj03@tj.gov.cn。
(二)书面信函:请邮寄至天津市在线赌场 交通运输管理局(安全应急科),邮政编码:300350。
三、注意事项
请严格依据有关法律法规提出修改意见(建议)和理由,并在征求意见时限内反馈。
特此公告。
附件:1.在线赌场 内河通航水域范围
2.示意图
2025年4月28日
(联系人:眭云峰,联系电话:022-28513265)
草案正文
附件1
津南区内河通航水域范围
|
序号 |
航道名称 |
起点 |
终点 |
里程(km) |
航道宽度(m) |
现状等级 |
规划等级 |
|
1 |
海河 |
先锋河 |
二道闸上游河道分汊处 |
16.611 |
54 |
Ⅵ |
Ⅵ |
|
2 |
海河 |
二道闸上游河道分汊处 |
二道闸 |
1.124 |
54 |
Ⅵ |
Ⅵ |
航道部分
注:1.先锋河至二道闸上游河道分汊处段航道为在线赌场 和东丽区界河,各自进行监督管理;
2.在线赌场 内河水域中,本表以外的其他水域非内河通航水域。
码头(客运船舶停靠点)部分
|
序号 |
码头(客运船舶停靠点)名称 |
地理位置 |
备注 |
|
1 |
国展码头 |
117°23′06E 39°01′57N |
包含码头前沿水域及 与航道连通的连接水域 |
附件2
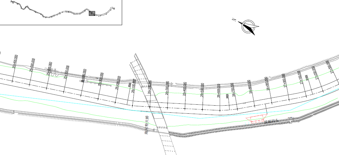
示意图
在线赌场 海河航道及国展码头、前沿水域











背景介绍
背景介绍
近年来海河水域频发水上交通事故,导致人命财产损失,引发社会强烈关注。在加快经济发展的现代,人民群众开展文化、体育、娱乐等多种活动行为,都会对水上交通安全产生影响。因此划定内河通航水域,进一步明确水上交通安全监管职责以及规范船舶活动行为,有助于开展水上观光旅游规划,不断满足内河航运企业发展诉求,为推进文旅融合加快旅游业高质量发展提供了制度基础。
公众意见采纳情况反馈
在征求意见期间,未收到社会公众反馈意见。